世語圖說
2026年03月18日
登陸網站
聯繫我們
首頁
奇趣
不小心A到別人機車!老婦「願意付維修費」隔幾天「報價單寫滿2頁」網友看後驚呼:分明是換新車
2024-12-17
呂純弘
反饋
3
/
4
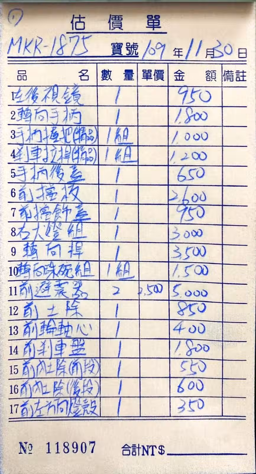
拿到帳單後,家人趕忙找懂機車的朋友諮詢,對方則表示「是灌水單,只擦碰一下怎麼可能修這麼多。」
貼文發出後,網友們紛紛譴責車主「擦碰一下就要4萬元,不如直接要台新車。」「這麼誆人,真該好好教訓一下」還有不少網友發聲支援阿婆,表示可以讓警方介入…
上一頁
3
/
4
下一頁
本土男星「驚傳過世」 死因曝光!! 林姿佑悲痛證實...
舒黛葉 • 10K次觀看
主播驚傳「午睡中驟逝」享年僅45歲! 早上才剛結束播報…死因曝光
舒黛葉 • 4K次觀看
快訊!日本大地震突襲 震度恐怖畫面流出… 民眾嚇哭逃命!
管輝若 • 5K次觀看
快訊/ 台南驚傳嚴重事故! 3人送醫「全都不幸身亡」!
舒黛葉 • 14K次觀看
快訊!!! 專家警告9級大震將襲, 恐奪20萬命
老臘肉 • 16K次觀看
天助中華隊!WBC宣布中華隊被日本扣倒13分不算數, 晉級八強機會突然暴漲
管輝若 • 4K次觀看
英國女醫生「網戀中國小鮮肉」22天閃婚,生下混血兒「第2年果真發生慘劇」:真的太衝動
舒黛葉 • 10K次觀看
清大6名大學生登山時神秘失蹤, 8年後終於被發現, 真相揭開震驚全台灣!
舒黛葉 • 5K次觀看
清明節到了,這個年齡的人, 千萬不要去墓地掃墓祭祖,很重要的!!
管輝若 • 6K次觀看
漸凍爸喜迎雙胞胎!卻慘遇「醫生1句殘酷真相」網淚崩:未來怎麼過
喬峰傳 • 3K次觀看
快訊/4萬股民完蛋了 「台25億科技大廠明停止買賣」 股票恐成壁紙!
管輝若 • 4K次觀看
她拍下食品生產間一幕, 工人「腳踩製作」讓人不忍直視, 網哀嚎:我昨天才買來吃
舒黛葉 • 6K次觀看
他深夜走了!男星驚傳「肺癌末期病逝」 享年34歲.... 留鉅額遺產!
舒黛葉 • 4K次觀看
英國女醫生「網戀中國小鮮肉」22天閃婚, 生下混血兒「第2年果真發生慘劇」: 真的太衝動
老臘肉 • 23K次觀看
49歲八點檔男星 「搞直銷負債千萬」! 賠光財產「家中堆滿保健食品」痛哭沒人要...
舒黛葉 • 5K次觀看
捷運上看到一和尚很入迷「玩手機」, 忍不住看他手機兩眼,這一看嚇一跳…….
老臘肉 • 4K次觀看
震撼彈/民進黨這人「宣布退黨」 高雄選戰變動
管輝若 • 6K次觀看
廣東漁民捕獲533斤生蚝,被酒店老闆當場70萬買下,撬開外殼後, 所有人傻眼了!!!
舒黛葉 • 4K次觀看
快訊/ 高雄剛剛出事了!
管輝若 • 7K次觀看
機場安檢又出新規定,行李箱裡千萬別裝這7樣東西! 後果會很嚴重,會有大麻煩
舒黛葉 • 4K次觀看
非洲這「湖」奪走2000人生命! 將水抽干後, 專家在湖底找到真兇
老臘肉 • 6K次觀看
晚間12點!!! WBC官方公布驚喜消息! 控分的韓國被台灣取代,韓網友留言哀號...
管輝若 • 15K次觀看
台灣25歲女博士嫁60歲杜拜富豪, 新婚當晚脫下衣服後,她驚呆了...
呂純弘 • 32K次觀看
快訊/24死12重傷!警消淚曝「遺體遍布路邊」 里長也罹難:真的逃不了....!
管輝若 • 4K次觀看